Aller au contenu principal
Accueil
Toggle menu
Me connecter
  • Accueil
  • Rechercher
    • Symptômes et dommages sur les plantes
    • Culture
    • Insectes et autres invertébrés
    • Mauvaises herbes et autres plantes
    • Virus et viroïdes
    • Champignons
    • Nématodes
    • Bactéries et phytoplasmes
  • Identifier
  • Glossaire
  • Galerie d'images

Galerie d'images

  1. Accueil
  2. Galerie d'images
Maïs grain et fourrager - Dessèchement (Exserohilum turcicum)
Maïs grain et fourrager - Dessèchement (Exserohilum turcicum)

Maïs grain et fourrager - Dessèchement

Sur une feuille de maïs, présence de grandes taches beiges d’aspect sec. Les dommages sont visibles à la face supérieure. Les observations microscopiques confirment la présenc...
Image Contenu lié à l’Image
Maïs grain et fourrager - Dessèchement (Exserohilum turcicum)
Maïs grain et fourrager - Dessèchement (Exserohilum turcicum)

Maïs grain et fourrager - Dessèchement

Sur une feuille de maïs, présence de grandes taches beiges d’aspect sec. Les dommages sont visibles à la face supérieure. Les observations microscopiques confirment la présenc...
Image Contenu lié à l’Image
Maïs grain et fourrager - Dessèchement (Exserohilum turcicum)
Maïs grain et fourrager - Dessèchement (Exserohilum turcicum)

Maïs grain et fourrager - Dessèchement

Sur une feuille de maïs, présence de grandes taches beiges d’aspect sec. Les dommages sont visibles à la face supérieure. Les observations microscopiques confirment la présenc...
Image Contenu lié à l’Image
Maïs grain et fourrager - Drainage insuffisant (asphyxie racinaire)
Maïs grain et fourrager - Drainage insuffisant (asphyxie racinaire)

Maïs grain et fourrager - Drainage insuffisant (asphyxie racinaire)

Le collet de cette plantule de maïs grain et fourrager est brun et pourri. Le drainage du champ est déficient, ce qui a causé un excès d’eau dans les zones non drainées et fav...
Image Contenu lié à l’Image
Maïs grain et fourrager - Drainage insuffisant (asphyxie racinaire)
Maïs grain et fourrager - Drainage insuffisant (asphyxie racinaire)

Maïs grain et fourrager - Drainage insuffisant (asphyxie racinaire)

Sur ce plant de maïs grain et fourrager, le développement anormal des racines d’ancrage est causé par un mauvais drainage de surface. Il y a eu un excès d’eau en surface et ce...
Image Contenu lié à l’Image
Maïs grain et fourrager - Drainage insuffisant (asphyxie racinaire)
Maïs grain et fourrager - Drainage insuffisant (asphyxie racinaire)

Maïs grain et fourrager - Drainage insuffisant (asphyxie racinaire)

Sur ce plant de maïs grain et fourrager, le développement anormal des racines d’ancrage est causé par un mauvais drainage de surface. Il y a eu un excès d’eau en surface et ce...
Image Contenu lié à l’Image
Maïs grain et fourrager - Drainage insuffisant (asphyxie racinaire)
Maïs grain et fourrager - Drainage insuffisant (asphyxie racinaire)

Maïs grain et fourrager - Drainage insuffisant (asphyxie racinaire)

Cette plantule de maïs grain et fourrager est dépérit. Les feuilles sont brunes, d’aspect humide et pourri. Ces symptômes sont causés par un drainage déficient du sol, ce qui ...
Image Contenu lié à l’Image
Maïs grain et fourrager - Drainage insuffisant (asphyxie racinaire)
Maïs grain et fourrager - Drainage insuffisant (asphyxie racinaire)

Maïs grain et fourrager - Drainage insuffisant (asphyxie racinaire)

La tige et le collet des quatre plantules de maïs grain et fourrager de droite sont bruns, vitreux et pourris. Leur système racinaire est peu développé et l’apex de quelques r...
Image Contenu lié à l’Image
Maïs grain et fourrager - Drainage insuffisant (asphyxie racinaire)
Maïs grain et fourrager - Drainage insuffisant (asphyxie racinaire)

Maïs grain et fourrager - Drainage insuffisant (asphyxie racinaire)

La levée des plants de maïs grain et fourrager dans ce champ en semis direct est relativement bonne, mais il y a certains manques sur les rangs, particulièrement dans les dépr...
Image Contenu lié à l’Image
Maïs grain et fourrager - Drainage insuffisant (asphyxie racinaire)
Maïs grain et fourrager - Drainage insuffisant (asphyxie racinaire)

Maïs grain et fourrager - Drainage insuffisant (asphyxie racinaire)

La tige et le collet des quatre plantules de maïs grain et fourrager de droite sont bruns, vitreux et pourris. Leur système racinaire est peu développé et l’apex de quelques r...
Image Contenu lié à l’Image
Maïs grain et fourrager - Fusariose de l'épi (Fusarium graminearum)
Maïs grain et fourrager - Fusariose de l'épi (Fusarium graminearum)

Maïs grain et fourrager - Fusariose de l'épi (Fusarium graminearum)

Sur un épi de maïs grain et fourrager, une proportion importante de l'épi est pourrie et couverte d’un mycélium blanc à rose. Les spathes sont également pourries, couvertes d’...
Image Contenu lié à l’Image
Maïs grain et fourrager - Fusariose de l'épi (Fusarium graminearum)
Maïs grain et fourrager - Fusariose de l'épi (Fusarium graminearum)

Maïs grain et fourrager - Fusariose de l'épi (Fusarium graminearum)

Sur un épi de maïs grain et fourrager, une proportion importante de l'épi est pourrie et couverte d’un mycélium blanc à rose pâle. Les spathes sont également pourries et trans...
Image Contenu lié à l’Image
Maïs grain et fourrager - Fusariose de l'épi (Fusarium poae)
Maïs grain et fourrager - Fusariose de l'épi (Fusarium poae)

Maïs grain et fourrager - Fusariose de l'épi (Fusarium poae)

Sur un épi de maïs grain et fourrager, présence d’un mycélium blanc qui engendre une pourriture affectant une proportion importante de l'épi. Certains grains sont également no...
Image Contenu lié à l’Image
Maïs grain et fourrager - Fusariose de l'épi (Fusarium poae)
Maïs grain et fourrager - Fusariose de l'épi (Fusarium poae)

Maïs grain et fourrager - Fusariose de l'épi (Fusarium poae)

Sur un épi de maïs grain et fourrager, présence d’un mycélium blanc qui engendre une pourriture affectant une proportion importante de l'épi. Certains grains sont également no...
Image Contenu lié à l’Image
Maïs grain et fourrager - Fusariose de la tige (Fusarium graminearum)
Maïs grain et fourrager - Fusariose de la tige (Fusarium graminearum)

Maïs grain et fourrager - Fusariose de la tige

Sur des tiges de maïs grain et fourrager, présence d’une coloration jaune à orangé près des entrenœuds. Les tests de laboratoire ont révélé la présence du champignon Fusarium ...
Image Contenu lié à l’Image
Maïs grain et fourrager - Grêle
Maïs grain et fourrager - Grêle

Maïs grain et fourrager - Grêle

Le limbe de cette feuille de maïs grain et fourrager s’est déchiré sous l’impact de la grêle. Les feuilles médianes et terminales sont les plus touchées. Les feuilles lacérées...
Image Contenu lié à l’Image
Maïs grain et fourrager - Grêle
Maïs grain et fourrager - Grêle

Maïs grain et fourrager - Grêle

Le limbe de certaines feuilles de maïs grain et fourrager s’est déchiré (voir flèches) sous l’impact de la grêle. Les feuilles médianes et terminales sont les plus touchées. L...
Image Contenu lié à l’Image
Maïs grain et fourrager - Grêle
Maïs grain et fourrager - Grêle

Maïs grain et fourrager - Grêle

Le limbe de certaines feuilles de maïs grain et fourrager s’est déchiré sous l’impact de la grêle. Tous les niveaux de feuilles ont été touchés puisque les plants sont encore ...
Image Contenu lié à l’Image
Maïs grain et fourrager - Grêle
Maïs grain et fourrager - Grêle

Maïs grain et fourrager - Grêle

Le limbe de plusieurs feuilles de maïs grain et fourrager s’est déchiré (voir flèches) sous l’impact d’un gros épisode de grêle (juillet 2001). Tous les niveaux de feuilles on...
Image Contenu lié à l’Image
Maïs grain et fourrager - Grêle
Maïs grain et fourrager - Grêle

Maïs grain et fourrager - Grêle

Le limbe de plusieurs feuilles de maïs grain et fourrager s’est déchiré sous l’impact d’un gros épisode de grêle (juillet 2001). Tous les niveaux de feuilles ont été touchés. ...
Image Contenu lié à l’Image
Maïs grain et fourrager - Grêle
Maïs grain et fourrager - Grêle

Maïs grain et fourrager - Grêle

Sur ces épis de maïs grain et fourrager, des grains sont affaissés, pourris ou absents et recouverts d’un mycélium blanc rosé. La grêle est à l’origine des dommages. Les bless...
Image Contenu lié à l’Image
Maïs grain et fourrager - Insolation (coup de soleil) et température basse de l'air (froid)
Maïs grain et fourrager - Insolation (coup de soleil) et température basse de l'air (froid)

Maïs grain et fourrager - Insolation (coup de soleil) et température basse de l'air (froid)

À la face inférieure d’une feuille de maïs grain et fourrager, le limbe prend une teinte argentée. Chez le maïs, ce symptôme est caractéristique d’une insolation (coup de sole...
Image Contenu lié à l’Image
Maïs grain et fourrager - Insolation (coup de soleil) et température basse de l'air (froid)
Maïs grain et fourrager - Insolation (coup de soleil) et température basse de l'air (froid)

Maïs grain et fourrager - Insolation (coup de soleil) et température basse de l'air (froid)

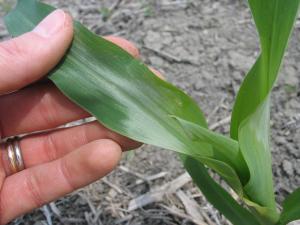
À la face supérieure d’une feuille de maïs grain et fourrager, présence de taches blanches ou de brûlures blanchâtres au point de flexion de la feuille. Chez le maïs, ce sympt...
Image Contenu lié à l’Image
Maïs grain et fourrager - Insolation (coup de soleil) et température basse de l'air (froid)
Maïs grain et fourrager - Insolation (coup de soleil) et température basse de l'air (froid)

Maïs grain et fourrager - Insolation (coup de soleil) et température basse de l'air (froid)

À la face supérieure d’une feuille de maïs grain et fourrager, présence de taches blanches ou de brûlures blanchâtres au point de flexion de la feuille. Chez le maïs, ce sympt...
Image Contenu lié à l’Image
Maïs grain et fourrager - Insolation (coup de soleil) et température basse de l'air (froid)
Maïs grain et fourrager - Insolation (coup de soleil) et température basse de l'air (froid)

Maïs grain et fourrager - Insolation (coup de soleil) et température basse de l'air (froid)

Dans un champ de maïs grain et fourrager, quelques plants montrent une teinte argentée à la face supérieure et/ou inférieure des feuilles (voir flèches). Chez le maïs, ce symp...
Image Contenu lié à l’Image
Maïs grain et fourrager - Insolation (coup de soleil) et température basse de l'air (froid)
Maïs grain et fourrager - Insolation (coup de soleil) et température basse de l'air (froid)

Maïs grain et fourrager - Insolation (coup de soleil) et température basse de l'air (froid)

À la face supérieure et inférieure des feuilles de maïs grain et fourrager, le limbe prend une teinte argentée. Chez le maïs, ce symptôme est caractéristique d’une insolation ...
Image Contenu lié à l’Image
Maïs grain et fourrager - Insolation (coup de soleil) et température basse de l'air (froid)
Maïs grain et fourrager - Insolation (coup de soleil) et température basse de l'air (froid)

Maïs grain et fourrager - Insolation (coup de soleil) et température basse de l'air (froid)

À la face supérieure et inférieure des feuilles de maïs grain et fourrager, le limbe prend une teinte argentée. Chez le maïs, ce symptôme est caractéristique d’une insolation ...
Image Contenu lié à l’Image
Maïs grain et fourrager - Insolation (coup de soleil) et température basse de l'air (froid)
Maïs grain et fourrager - Insolation (coup de soleil) et température basse de l'air (froid)

Maïs grain et fourrager - Insolation (coup de soleil) et température basse de l'air (froid)

À la face inférieure d’une feuille de maïs grain et fourrager, le limbe prend une teinte argentée. Chez le maïs, ce symptôme est caractéristique d’une insolation (coup de sole...
Image Contenu lié à l’Image
Maïs grain et fourrager - Kabatiellose (Aureobasidium zeae)
Maïs grain et fourrager - Kabatiellose (Aureobasidium zeae)

Maïs grain et fourrager - Kabatiellose

Sur une feuille de maïs grain et fourrager, présence de nombreuses taches beiges de 1 à 4 mm de diamètre ayant une large marge pourpre à brune. Les taches sont entourées d’un ...
Image Contenu lié à l’Image
Maïs grain et fourrager - Kabatiellose (Aureobasidium zeae)
Maïs grain et fourrager - Kabatiellose (Aureobasidium zeae)

Maïs grain et fourrager - Kabatiellose

Sur une feuille de maïs grain et fourrager, présence de petites taches beiges ayant une marge pourpre à brune. Les taches sont entourées d’un halo jaune. Les taches sont plutô...
Image Contenu lié à l’Image
Maïs grain et fourrager - Kabatiellose (Aureobasidium zeae)
Maïs grain et fourrager - Kabatiellose (Aureobasidium zeae)

Maïs grain et fourrager - Kabatiellose

Sur une feuille de maïs grain et fourrager, présence de petites taches beiges ayant une marge pourpre à brune. Les taches sont entourées d’un halo jaune. Les taches sont plutô...
Image Contenu lié à l’Image
Maïs grain et fourrager - Légionnaire uniponctuée (Mythimna unipuncta)_1
Maïs grain et fourrager - Légionnaire uniponctuée (Mythimna unipuncta)_1

Maïs grain et fourrager - Légionnaire uniponctuée

Champ de maïs sévèrement endommagé par la légionnaire uniponctuée : ce ravageur est principalement associé aux plantes de la famille des graminées. Il s’attaque principaleme...
Image Contenu lié à l’Image
  • Afficher plus
Logo IRIIS
L’outil IRIIS est enrichi par le MAPAQ
et ses collaborateurs
Liens 

 À propos
 Fournir des images
 Crédits photo
 Glossaire
 Conditions d'utilisation
 Admin

Contact 

Téléphone : 418 523-5411
Sans frais : 1 888 535-2537
Télécopieur : 418 644-5944
Courriel : iriisphytoprotection@craaq.qc.ca

Adresse 

Édifice Delta 1
2875, boulevard Laurier, 9e étage

Québec (Québec) G1V 2M2
Canada

Propulsé par craaq

Ce site est optimisé pour Mozilla Firefox et Google Chrome

© CRAAQ, 2023 Tous droits réservés

       
sfy39587stp18
Drupal 9 Appliance - Powered by TurnKey Linux