Au Québec, la brûlure cercosporéenne est la plus importante maladie foliaire de la carotte. Elle est fréquente et sévère. Son champignon, Cercospora carotae, est spécifique à la carotte. Cette maladie est souvent plus dommageable que la brûlure alternarienne puisqu’elle se manifeste tôt en saison sur les jeunes feuilles contrairement à la brûlure alternarienne qui affecte surtout le vieux feuillage en fin de saison. Dans les deux cas, ce sont les carottes laissées au champ lors de la récolte mécanique qui sont responsables de ces maladies. La brûlure cercosporéenne occasionne une diminution de la photosynthèse et une défoliation prématurée des plants. Les feuilles dont les pétioles ont des lésions se brisent facilement, ce qui pose des problèmes lors de l'arrachage mécanique qui requiert la présence du feuillage. Les pertes à l’arrachage sont souvent supérieures à celles causées par la diminution de la photosynthèse. La maladie débute en foyer et finit par être répartie assez uniformément dans le champ.
Le champignon hiverne sous la forme de mycélium dans ou sur la semence, les résidus de culture infectée et sur la carotte sauvage (Daucus carota). Les conidies sont produites au printemps et dispersées par le vent, l’eau, les équipements et matériels agricoles et les travailleurs. Les infections se font par les stomates et requièrent une période d’humidité d’au moins 12 heures sur les feuilles et une température chaude (20 à 30 °C), avec un optimum à 28 °C. Les symptômes apparaissent environ 3 à 5 jours après l’infection.
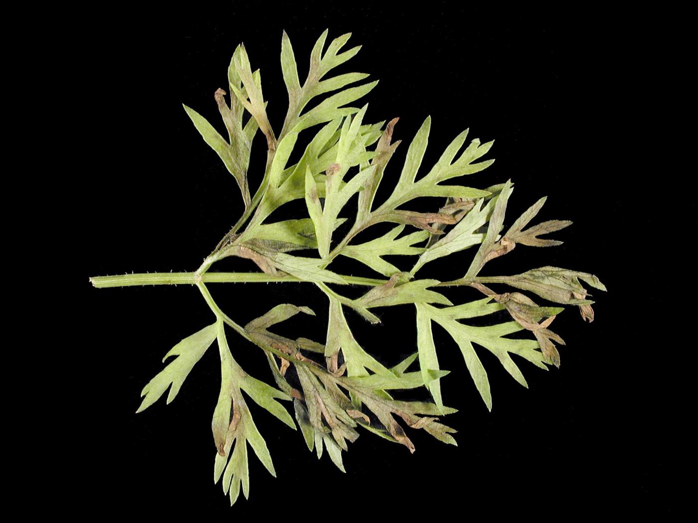
Cercospora carotae attaque les feuilles, les pétioles, la tige et les pièces florales, mais n’affecte pas les racines.
Feuille et pétiole : sur les feuilles, présence de taches circulaires (sur limbe) ou allongées (à la marge) claires au centre et bordées d’une marge brune et souvent entourées d’un halo jaune. Les taches peuvent devenir noires puis grisâtres lorsque le champignon fructifie. Les taches finissent par s’agglomérer et les feuilles se dessèchent puis meurent, créant une apparence de brûlure. Sur le pétiole, les taches sont ovales avec un centre beige à brun clair et bordées d’une marge brune. Défoliation prématurée des plants.
Fleur : sur les carottes de semence, les infections précoces empêchent le développement des graines tandis que lors d’infections tardives, le champignon contamine les graines, propageant ainsi la maladie.
Tige : les taches sont ovales avec un centre beige à brun clair et bordées d’une marge brune. Les taches peuvent devenir noires puis grisâtres lorsque le champignon fructifie. Les taches peuvent encercler la tige et causer la mort de toute la feuille.
La brûlure bactérienne (Xanthomonas hortorum pv. carotae) cause des symptômes similaires, mais les taches sont angulaires et délimitées par les nervures. La brûlure cercosporéenne peut également être confondue avec la brûlure alternarienne (Alternaria dauci). Contrairement à Alternaria qui se manifeste tard en saison sur les vieilles feuilles, Cercospora apparaît tôt sur les jeunes feuilles.
On peut diminuer les risques associés à la brûlure cercosporéenne par divers moyens tels que la rotation des cultures (2 à 3 ans) avec des plantes non hôtes, l’enfouissement des résidus de culture infectée à l’automne, des semis uniformes et pas trop denses, un bon contrôle des mauvaises herbes, une augmentation de l'espacement entre les rangs, des sols bien drainés et l’utilisation de semences saines traitées avec un fongicide avant le semis. Des cultivars résistants sont disponibles et la lutte chimique est disponible et efficace.
Davis R. M. & Raid R. N. (Eds) (2002). Cercospora Leaf Blight of Carrot. Dans Compendium of Umbelliferous Crop Diseases. APS Press, The American Phytopathological Society, St-Paul, Minnesota. p. 18.
Richard C. & Boivin G. (1994). Cercosporose de la carotte. Dans Maladies et Ravageurs des Cultures Légumières au Canada. La Société Canadienne de Phytopathologie et la Société d'Entomologie du Canada, Canada. p. 70-71. (http://phytopath.ca/wp-content/uploads/2014/10/MRCLC/ch6-carotte.pdf)
http://learningstore.uwex.edu/assets/pdfs/A3807.pdf
https://ipm.ucanr.edu/agriculture/carrot/cercospora-leaf-blight/#gsc.tab=0






