Identificateur
Dominique Hamel
Crédit photo
Laboratoire d'expertise et de diagnostic en phytoprotection - MAPAQ
Fournisseur
Laboratoire d'expertise et de diagnostic en phytoprotection
Photographe
Dominique Hamel
Légende
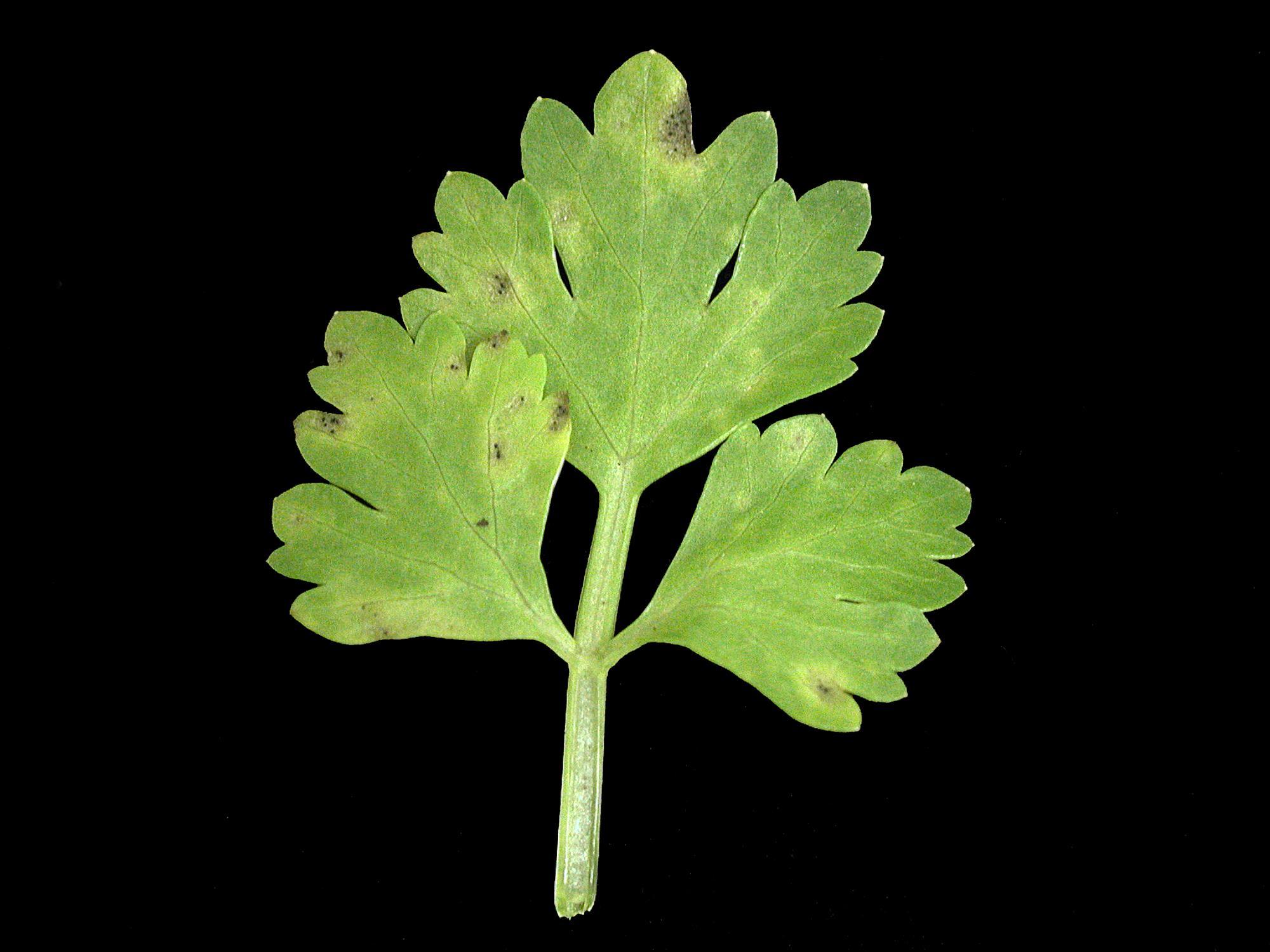
Taches sur pétioles de céleri
OrganisationFournisseur
MAPAQ - Direction de la phytoprotection (DP)

Les pétioles de céleri montrent des taches beiges à brunes de forme allongées. Les taches portent de minuscules ponctuations noires, qui correspondent aux pycnides de Septoria apiicola, responsable de la tache septorienne du céleri.