Aller au contenu principal
Accueil
Toggle menu
Me connecter
  • Accueil
  • Rechercher
    • Symptômes et dommages sur les plantes
    • Culture
    • Insectes et autres invertébrés
    • Mauvaises herbes et autres plantes
    • Virus et viroïdes
    • Champignons
    • Nématodes
    • Bactéries et phytoplasmes
  • Identifier
  • Glossaire
  • Galerie d'images

Galerie d'images

  1. Accueil
  2. Galerie d'images
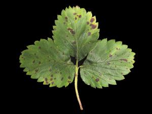
Fraise - Tache commune (Ramularia brunnea)
Fraise - Tache commune (Ramularia brunnea)

Fraise - Tache commune

Sur un fraisier, les feuilles portent de nombreuses taches pourpres à violacées avec un centre blanchâtre et une marge foncée. Les taches sont réparties aléatoirement à la fac...
Image Contenu lié à l’Image
Fraise - Tache commune (Ramularia brunnea)
Fraise - Tache commune (Ramularia brunnea)

Fraise - Tache commune

Sur une foliole de fraisier (cv 'Jewel'), présence de taches pourpres à violacées avec un centre blanchâtre. Les taches sont réparties aléatoirement à la face supérieure. Les ...
Image Contenu lié à l’Image
Fraise - Tache commune (Ramularia brunnea)
Fraise - Tache commune (Ramularia brunnea)

Fraise - Tache commune

Sur des folioles de fraisier, présence de taches pourpres à violacées avec un centre blanchâtre. Les taches sont réparties aléatoirement à la face supérieure. Ces symptômes so...
Image Contenu lié à l’Image
Fraise - Tache commune (Ramularia brunnea)
Fraise - Tache commune (Ramularia brunnea)

Fraise - Tache commune

Sur une feuille de fraisier, présence de taches pourpres à violacées avec un centre blanchâtre et une marge foncée. Les taches sont réparties aléatoirement à la face supérieur...
Image Contenu lié à l’Image
Fraise - Tache commune (Ramularia brunnea)
Fraise - Tache commune (Ramularia brunnea)

Fraise - Tache commune

Sur les fraises, présence de petites taches noires superficielles regroupées autour d’un ou quelques akènes. Il y a généralement une ou deux taches par fruit. Ces symptômes so...
Image Contenu lié à l’Image
Fraise - Tache commune (Ramularia brunnea)
Fraise - Tache commune (Ramularia brunnea)

Fraise - Tache commune

Sur des folioles de fraisier, présence de taches pourpres à violacées avec un centre blanchâtre. Les taches sont réparties aléatoirement à la face supérieure. Ces symptômes so...
Image Contenu lié à l’Image
Fraise - Tache commune (Ramularia brunnea)
Fraise - Tache commune (Ramularia brunnea)

Fraise - Tache commune

Sur des folioles de fraisier, présence de taches pourpres à violacées avec un centre beige foncé. Les taches sont réparties de façon aléatoire sur la face supérieure du limbe....
Image Contenu lié à l’Image
Fraise - Tache commune (Ramularia brunnea)
Fraise - Tache commune (Ramularia brunnea)

Fraise - Tache commune

Sur une feuille de fraisier, présence de taches pourpres à violacées avec un centre blanchâtre et une marge foncée. Les taches sont réparties aléatoirement à la face supérieur...
Image Contenu lié à l’Image
Fraise - Tache commune (Ramularia brunnea)
Fraise - Tache commune (Ramularia brunnea)

Fraise - Tache commune

Sur les sépales des fraises (cv 'Honeoye'), présence d’un brunissement des sépales (voir flèches). Les tests de laboratoire ont révélé la présence du champignon Ramularia grev...
Image Contenu lié à l’Image
Fraise - Tache commune (Ramularia brunnea)
Fraise - Tache commune (Ramularia brunnea)

Fraise - Tache commune

Sur une feuille de fraisier, présence de taches pourpres à violacées avec un centre blanchâtre. Les taches sont réparties aléatoirement à la face supérieure. Les tests de labo...
Image Contenu lié à l’Image
Fraise - Tache commune (Ramularia brunnea)
Fraise - Tache commune (Ramularia brunnea)

Fraise - Tache commune

Sur les fruits en formation (cv 'Jewel'), présence d’un brunissement des sépales. Les tests de laboratoire ont révélé la présence du champignon Ramularia grevilleana (syn. Myc...
Image Contenu lié à l’Image
Fraise - Tache foliaire (Zythia fragariae)
Fraise - Tache foliaire (Zythia fragariae)

Fraise - Tache foliaire

Sur la foliole d’un fraisier, présence de taches beiges avec un pourtour plus foncé et de forme irrégulière. Les tests de laboratoire ont révélé la présence de Zythia sp., res...
Image Contenu lié à l’Image
Fraise - Tache foliaire (Zythia fragariae)
Fraise - Tache foliaire (Zythia fragariae)

Fraise - Tache foliaire

Sur la face supérieure des folioles, plusieurs taches de couleur bronze et de formes irrégulières, avec une bordure mauve à rouge foncé. Les taches se regroupent pour former d...
Image Contenu lié à l’Image
Fraise - Tache foliaire (Zythia fragariae)
Fraise - Tache foliaire (Zythia fragariae)

Fraise - Tache foliaire

Sur des folioles de fraisier (cv 'Malwina'), présence de lésions concentriques de couleur bronze et au pourtour violacé. Les tests de laboratoire ont révélé la présence de Zyt...
Image Contenu lié à l’Image
Fraise - Tache foliaire (Zythia fragariae)
Fraise - Tache foliaire (Zythia fragariae)

Fraise - Tache foliaire

Une tache suivant partiellement la nervure centrale s’agrandit et forme une plage brunie sur la feuille. Les taches brunes affectant la marge de la feuille sont aussi causées ...
Image Contenu lié à l’Image
Fraise - Tache foliaire (Zythia fragariae)
Fraise - Tache foliaire (Zythia fragariae)

Fraise - Tache foliaire

Sur une feuille de fraisier, présence de taches brunes de forme irrégulière, avec pour la plupart un contour rose violacé et un halo jaune. Les tests de laboratoire ont révélé...
Image Contenu lié à l’Image
Fraise - Tache foliaire (Zythia fragariae)
Fraise - Tache foliaire (Zythia fragariae)

Fraise - Tache foliaire

Sur les folioles d’un fraisier (cv 'Malwina'), on observe la présence de taches beiges à brunes avec un pourtour plus foncé. Les taches sont de forme plutôt arrondie et sont r...
Image Contenu lié à l’Image
Fraise - Tache foliaire (Zythia fragariae)
Fraise - Tache foliaire (Zythia fragariae)

Fraise - Tache foliaire

Comme on peut l'observer sur cette foliole de fraisier, les taches causées par Zythia sp. peuvent traverser le limbe et sont donc visibles autant sur le dessus que le dessous ...
Image Contenu lié à l’Image
Fraise - Tache foliaire (Zythia fragariae)
Fraise - Tache foliaire (Zythia fragariae)

Fraise - Tache foliaire

Vue macroscopique d’une tache foliaire causée par le champignon Zythia fragariae, responsable de la tache zythienne chez le fraisier. On peut observer au centre de la tache de...
Image Contenu lié à l’Image
Fraise - Tache foliaire (Zythia fragariae)
Fraise - Tache foliaire (Zythia fragariae)

Fraise - Tache foliaire

Vue macroscopique d’une tache foliaire causée par le champignon Zythia fragariae, responsable de la tache zythienne chez le fraisier. Les taches ont un centre beige à brun et ...
Image Contenu lié à l’Image
Fraise - Tache foliaire (Zythia fragariae)
Fraise - Tache foliaire (Zythia fragariae)

Fraise - Tache foliaire

Sur des feuilles de fraisier, on observe des taches de couleur bronze au pourtour violacé et de forme irrégulière. La majorité des taches semble avoir progressé à partir de la...
Image Contenu lié à l’Image
Fraise - Tache foliaire (Zythia fragariae)
Fraise - Tache foliaire (Zythia fragariae)

Fraise - Tache foliaire

Petites taches beiges arrondies avec un pourtour plus foncé sur une foliole de fraisier. Les tests de laboratoire ont révélé la présence de Zythia sp., responsable de la tache...
Image Contenu lié à l’Image
Fraise - Tache pourpre (Marssonina fragariae)_1
Fraise - Tache pourpre (Marssonina fragariae)_1

Fraise - Tache pourpre

À la face supérieure des folioles de fraisier, présence de taches irrégulières pourpres avec un centre brunâtre. Les taches sont réparties aléatoirement sur le limbe. Ce sympt...
Image Contenu lié à l’Image
Fraise - Tache pourpre (Marssonina fragariae)_2
Fraise - Tache pourpre (Marssonina fragariae)_2

Fraise - Tache pourpre

À la face supérieure des folioles de fraisier, présence de taches irrégulières pourpres avec un centre brunâtre. Les taches sont réparties aléatoirement sur le limbe. Ce sympt...
Image Contenu lié à l’Image
Fraise - Tache pourpre (Marssonina fragariae)_5
Fraise - Tache pourpre (Marssonina fragariae)_5

Fraise - Tache pourpre

Sur le fruit (cv 'Kent'), les sépales présentent des brûlures ayant une apparence sèche pouvant affecter l'apex ou toute la surface des sépales (voir flèche). Ces brûlures son...
Image Contenu lié à l’Image
Fraise - Tache pourpre (Marssonina fragariae)_3
Fraise - Tache pourpre (Marssonina fragariae)_3

Fraise - Tache pourpre

À la face supérieure des folioles de fraisier, présence de taches irrégulières complètement pourpres. Les taches sont réparties aléatoirement sur le limbe. Les tests de labora...
Image Contenu lié à l’Image
Fraise - Tache pourpre (Marssonina fragariae)_4
Fraise - Tache pourpre (Marssonina fragariae)_4

Fraise - Tache pourpre

À la face supérieure d’une foliole de fraisier, présence de taches irrégulières complètement pourpres. Les taches sont réparties aléatoirement sur le limbe. Les tests de labor...
Image Contenu lié à l’Image

Fraise - Tarsonème du fraisier

Face supérieure d'une feuille de fraisier présentant des dommages causés par l'alimentation de tarsonèmes du fraisier. Ces acariens s'attaquent d'abord aux jeunes feuilles au ...
Image Contenu lié à l’Image

Fraise - Tarsonème du fraisier

Feuillages de fraisier présentant des dommages causés par l'alimentation de tarsonèmes du fraisier. Ces acariens s'attaquent d'abord aux jeunes feuilles au coeur du plant. En ...
Image Contenu lié à l’Image
Fraise - Tarsonème du fraisier (Phytonemus pallidus)_1
Fraise - Tarsonème du fraisier (Phytonemus pallidus)_1

Fraise - Tarsonème du fraisier

Image Contenu lié à l’Image

Fraise - Tarsonème du fraisier

Fleurs de fraisier présentant des dommages causés par l'alimentation de tarsonèmes du fraisier. Les fleurs avortent et prennent une coloration brunâtre alors que les sépales f...
Image Contenu lié à l’Image

Fraise - Tarsonème du fraisier

Feuillages de fraisier présentant des dommages causés par l'alimentation de tarsonèmes du fraisier. Ces acariens s'attaquent d'abord aux jeunes feuilles au coeur du plant. En ...
Image Contenu lié à l’Image
  • Afficher plus
Logo IRIIS
L’outil IRIIS est enrichi par le MAPAQ
et ses collaborateurs
Liens 

 À propos
 Fournir des images
 Crédits photo
 Glossaire
 Conditions d'utilisation
 Admin

Contact 

Téléphone : 418 523-5411
Sans frais : 1 888 535-2537
Télécopieur : 418 644-5944
Courriel : iriisphytoprotection@craaq.qc.ca

Adresse 

Édifice Delta 1
2875, boulevard Laurier, 9e étage

Québec (Québec) G1V 2M2
Canada

Propulsé par craaq

Ce site est optimisé pour Mozilla Firefox et Google Chrome

© CRAAQ, 2023 Tous droits réservés

       
sfy39587stp18
Drupal 9 Appliance - Powered by TurnKey Linux