La tache angulaire est la seule maladie bactérienne importante chez la fraise. Elle affecte à un degré moindre la potentille. Le dépistage de cette maladie est difficile. Il faut bien observer le vieux feuillage à la base des plants, particulièrement celui situé au centre du rang. Le feuillage prend une teinte jaune clair lorsque la maladie est bien établie. Plusieurs variétés sont sensibles (Bounty, Kent, Cavendish et Chambly) alors que les cultivars Jewel et Veestar sont tolérants. Cette maladie est fréquente et mineure, mais peut être sévère lorsque les conditions climatiques sont propices. Les plants affectés sont localisés mais à différents endroits dans la fraisière. Selon les conditions climatiques, cette maladie peut se développer et causer des pertes de rendement ou encore demeurer latente.
Les bactéries hivernent sur le vieux feuillage et les feuilles mortes. Elles sont très résistantes à la dessiccation et aux conditions adverses. Elles peuvent survire une longue période sur les feuilles infectées sèches ou enfouies dans le sol. Elles ne survivent pas librement dans le sol. Au printemps, les bactéries se multiplient sur les tissus infectés lorsque l’humidité est importante. Elles sont ensuite disséminées par l’eau (pluie, rosée, éclaboussures) et le vent sur le nouveau feuillage. Elles infectent les feuilles en entrant par les stomates. Les bactéries se développent lorsque les conditions sont fraîches le jour (20 °C), froides la nuit (2 à 4 °C) et humides (pluie fréquente, rosée, irrigation par aspersion, humidité relative élevée). Par temps chaud, les bactéries se développent lentement.
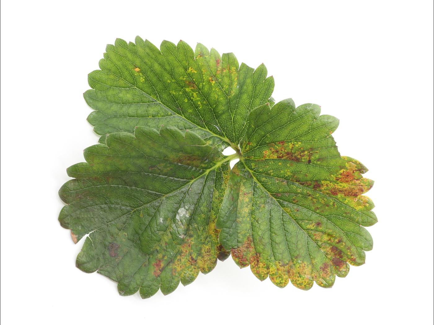
Feuille : présence de petites taches vertes, aqueuses et angulaires, délimitées par les nervures secondaires. Elles débutent à la face inférieure. Lorsque ces taches sont placées devant la lumière (à contre-jour) ou dirigées vers le ciel, elles apparaissent translucides. C’est un caractère distinctif de cette maladie. Sous des conditions humides, les taches ont un aspect visqueux et libèrent un exsudat bactérien. Sous des conditions sèches, l’exsudat bactérien forme un mince film transparent et blanchâtre. En vieillissant, les taches s’agrandissent, deviennent irrégulières, rouges à brunes, puis nécrotiques et opaques. Elles deviennent alors visibles à la face supérieure.
Fruit : parfois, taches brunes et sèches sur les sépales, rendant les fruits invendables.
Sur les feuilles, la tache angulaire peut être confondue avec le dépérissement normal du vieux feuillage, la tache commune (Ramularia ou Mycosphaerella) et la tache pourpre (Diplocarpon earlianum). Ces taches ne sont pas angulaires ni translucides.
Sur les sépales, la tache angulaire peut être confondue avec des dommages de moisissure grise (Botrytis cinerea – duvet grisâtre) et une carence en calcium (également brûlure de la pointe des feuilles).
Pour contrer le développement de la tache angulaire dans les fraisières, il faut acheter du matériel végétal sain et certifié, éviter de circuler dans les champs lorsque les plants sont mouillés et utiliser judicieusement l’irrigation par aspersion. Les traitements à base de cuivre ont une certaine efficacité.
Lambert L., Laplante G. H., Carisse O. & Vincent C. (2007). La tache angulaire du fraisier. Dans Guide de maladies, ravageurs et organismes bénéfiques du fraisier, du framboisier et du bleuetier. CRAAQ (Centre de référence en agriculture et agroalimentaire du Québec) (Ed). p. 41-43.
Maas J. L. (Eds) (1998). Angular Leaf Spot. Dans Compendium of Strawberry Diseases. 2e éd. APS Press. The American Phytopathological Society Press, St-Paul, Minnesota. p. 16-17.
http://www.agrireseau.qc.ca/lab/documents/Fraisier%20-%20Xanthomonas%20frafrariae.pdf
https://www.agrireseau.net/Rap/documents/b19pf13.pdf







