Nom latin :
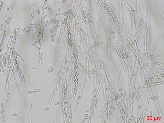
Geotrichum sp.
Dommages
Le genre Geotrichum peut affecter les cultures suivantes : carotte, chou pommé, citrouille, courges, fraise, oignon sec, patate douce, poivrons, pomme de terre et tomate.
Références et liens
Noms des maladies des plantes au Canada. 4e éd. (2003). Société de protection des plantes du Québec (SPPQ), Sainte-Foy (Québec). 340 p.
Mycobank : Taxa descriptions (Geotrichum candidum)
Cultures ou autres organismes affectés
Courges
/fr/maladies-parasitaires/champignons/geotrichum-sp/courges-pourriture-sure
Courges - Pourriture sure (Geotrichum candidum)_1
Courges - Pourriture sure (Geotrichum candidum)_2
Courges - Pourriture sure (Geotrichum candidum)_3
Courges - Pourriture sure (Geotrichum candidum)_4
Courges - Pourriture sure (Geotrichum candidum)_2
Courges - Pourriture sure (Geotrichum candidum)_3
Courges - Pourriture sure (Geotrichum candidum)_4
Pomme de terre
/fr/maladies-parasitaires/champignons/geotrichum-sp/pomme-de-terre-pourriture-caoutchouc
Pomme de terre - Pourriture caoutchouc (Geotrichum candidum)_1
Pomme de terre - Pourriture caoutchouc (Geotrichum candidum)_2
Pomme de terre - Pourriture caoutchouc (Geotrichum candidum)_2



