Rubus hispidus Linnaeus
La ronce hispide est une espèce vivace, indigène en Amérique du Nord. Les tiges sont bisannuelles, la 1ere année elles sont végétatives et, la 2e année, elles produisent des rameaux sur lesquels se développent les fleurs et les fruits. Les tiges ont un port rampant au sol et mesurent de 50 à 150 cm de longueur. Elles ont la capacité de s’enraciner à leurs nœuds pour produire de nouveaux plants. Elles sont de couleur vert pâle à rougeâtre et sont couvertes de poils raides et glanduleux qui mesurent de 2 à 4 mm de longueur. Le système racinaire est composé de rhizomes forts qui peuvent se développer à plus de 30 cm de profondeur dans le sol.
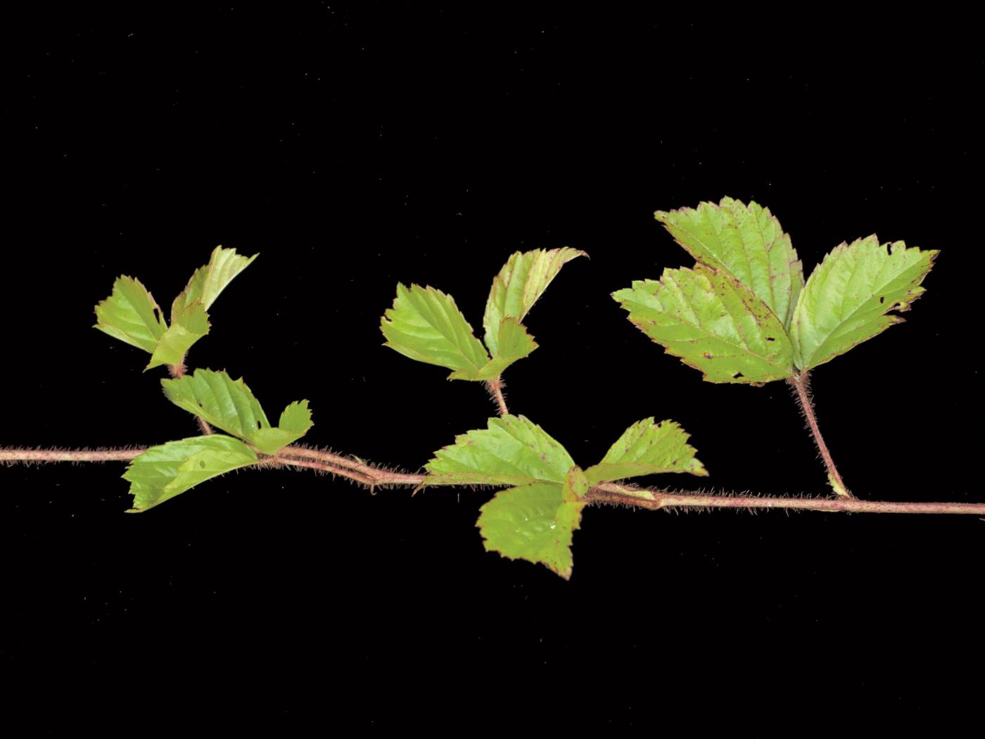
Les feuilles sont alternes sur la tige et toutes composées de 3 folioles. Les folioles sont de forme ovée plus large près du sommet et mesurent de 1,7 à 6,5 cm de longueur et de 1 à 5,2 cm de largeur. La base du limbe est cordée à arrondie, la marge est dentée et l’apex est acuminé à arrondi. La face supérieure des folioles est verte, glabre et lustrée, la face inférieure est blanchâtre et parfois, un peu pubescente. La foliole terminale est portée par un petit pétiole, les autres sont sessiles. Des stipules sont présentes sur la tige, à la base des feuilles. Elles sont de forme linéaire à lancéolée et mesurent de 5 à 15 mm de longueur.
L’inflorescence est un racème qui regroupe de 1 à 7 fleurs. Ces dernières sont composées de 5 sépales verts et de 5 pétales blancs. Les sépales sont ovés et un peu pubescents et les pétales sont de forme oblongue à elliptique et mesurent de 6 à 10 mm de longueur. Les fleurs sont portées par un pédicelle recouvert de poils raides. L’inflorescence est portée par un rameau à port dressé.
Le fruit est globuleux et formé de plusieurs petites drupes. Il est vert, puis rougeâtre et devient noir pourpre à maturité. Il mesure jusqu’à 1 cm de longueur. Chaque drupe contient une petite graine.
La ronce hispide est une espèce retrouvée en bordure des bois, des tourbières et des routes, ainsi que dans les prairies, les endroits ouverts et les endroits perturbés. On la retrouve fréquemment dans les champs de canneberges où elle peut former de grandes colonies et réduire la vigueur des plants de canneberges. Elle préfère les sols humides et acides, mais tolère une vaste gamme de conditions de sol.
La ronce hispide peut être confondue avec la ronce des Alléghanys (Rubus allegheniensis). Cette dernière se distingue par son port dressé, ses feuilles des tiges végétatives à 5 folioles et la face inférieure des folioles qui n’est pas blanchâtre.
Pour prévenir les problèmes de ronce hispide, effectuer un dépistage des champs le plus tôt possible. Dès que sa présence est notée, les plants devraient être arrachés en prenant soin de retirer le plus de racines et de rhizomes possible. Cette opération devrait être répétée durant la saison pour affaiblir le système racinaire de la plante. Il est plus facile d’arracher les plants lorsque le sol est humide.
Pour réprimer la mauvaise herbe, l’in...Lire la suite
Pour prévenir les problèmes de ronce hispide, effectuer un dépistage des champs le plus tôt possible. Dès que sa présence est notée, les plants devraient être arrachés en prenant soin de retirer le plus de racines et de rhizomes possible. Cette opération devrait être répétée durant la saison pour affaiblir le système racinaire de la plante. Il est plus facile d’arracher les plants lorsque le sol est humide.
Pour réprimer la mauvaise herbe, l’inondation des champs pendant 3 à 4 semaines au printemps ou à l’automne permet de diminuer la vigueur des plants et de réduire la production de nouvelles tiges. Dans les cas d’infestations majeures, une inondation estivale peut être faite de la mi-mai à la mi-juillet. Par contre, cette inondation éliminera la récolte de l’année en cours. Les plants de ronce qui persistent après l’inondation doivent être retirés. Les secteurs où les populations de ronce sont élevées devraient être rénovés et replantés.
Dans les champs de canneberges, la ronce hispide s’introduit par les bordures des champs, les fossés et dans les boutures utilisées pour les nouvelles plantations.
Gleason H. A. & Cronquist A. C. (1991). Manual of Vascular Plants of Northeastern United States and Adjacent Canada. 2e éd. New York Botanical Garden. 910 pp.
Jensen K. I. N. & Hall I. V. (1979). The Biology of Canadian Weeds. 36. Rubus hispidus L. Canadian Journal of Plant Science. 59(3): 769-776.
Néron R., Deland J.-P., Drolet I. & Painchaud J. (2013). Guide d’identification des mauvaises herbes de la canneberge. Ministère de L’Agriculture, des Pêcheries et de l’Alimentation, Québec. 239 pp.
Flora of North America
http://www.efloras.org/florataxon.aspx?flora_id=1&taxon_id=250100434












