Aller au contenu principal
Toggle menu
Me connecter
Accueil
Rechercher
Symptômes et dommages sur les plantes
Culture
Insectes et autres invertébrés
Mauvaises herbes et autres plantes
Virus et viroïdes
Champignons
Nématodes
Bactéries et phytoplasmes
Identifier
Glossaire
Galerie d'images
Bactéries
Accueil
Maladies parasitaires
Bactéries
Recherche
Appliquer
Symptômes et dommages
Iris
Iris - Brûlure bactérienne
Iris - Brûlure bactérienne (Xanthomonas campestris pv. tardicrescens)_1
Feuille
Maladies parasitaires
Bactéries
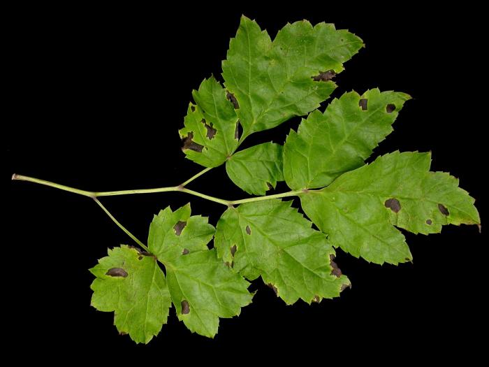
Pivoines
Pivoines - Tache bactérienne
Pivoines - Tache bactérienne (Xanthomonas sp.)_1
Pivoines - Tache bactérienne (Xanthomonas sp.)_2
Pivoines - Tache bactérienne (Xanthomonas sp.)_3
Feuille
Parties aériennes
Tige/Tronc
Maladies parasitaires
Bactéries
Bleuet en corymbe
Bleuet en corymbe - Tumeur du collet
Bleuet en corymbe - Tumeur du collet (Agrobacterium tumefaciens)_1
Bleuet en corymbe - Tumeur du collet (Agrobacterium tumefaciens)_2
Bleuet en corymbe - Tumeur du collet (Agrobacterium tumefaciens)_3
Collet
Racine
Tige/Tronc
Maladies parasitaires
Bactéries
Argyranthemum
Argyranthemum - Tumeur du collet
Argyranthemum - Tumeur du collet (Agrobacterium tumefaciens)_1
Argyranthemum - Tumeur du collet (Agrobacterium tumefaciens)_2
Argyranthemum - Tumeur du collet (Agrobacterium tumefaciens)_3
Argyranthemum - Tumeur du collet (Agrobacterium tumefaciens)_4
Collet
Racine
Tige/Tronc
Maladies parasitaires
Bactéries
Cannas
Cannas - Tache bactérienne
Cannas - Tache bactérienne (Xanthomonas sp.)_1
Cannas - Tache bactérienne (Xanthomonas sp.)_2
Feuille
Tige/Tronc
Maladies parasitaires
Bactéries
Actées
Actées - Tache bactérienne
Actées - Tache bactérienne (Xanthomonas sp.)_1
Feuille
Tige/Tronc
Maladies parasitaires
Bactéries
Cerise
Cerise - Coulure bactérienne
Cerise - Coulure bactérienne (Pseudomonas syringae pv. syringae)_1
Cerise - Coulure bactérienne (Pseudomonas syringae pv. syringae)_2
Cerise - Coulure bactérienne (Pseudomonas syringae pv. syringae)_3
Cerise - Coulure bactérienne (Pseudomonas syringae pv. syringae)_4
Cerise - Coulure bactérienne (Pseudomonas syringae pv. syringae)_5
Cerise - Coulure bactérienne (Pseudomonas syringae pv. syringae)_6
Cerise - Coulure bactérienne (Pseudomonas syringae pv. syringae)_7
Cerise - Coulure bactérienne (Pseudomonas syringae pv. syringae)_8
Bourgeon
Feuille
Fleur
Fruit
Tige/Tronc
Maladies parasitaires
Bactéries
Camerise
Camerise - Coulure bactérienne
Camerise - Coulure bactérienne (Pseudomonas syringae pv. syringae)_1
Camerise - Coulure bactérienne (Pseudomonas syringae pv. syringae)_2
Camerise - Coulure bactérienne (Pseudomonas syringae pv. syringae)_3
Camerise - Coulure bactérienne (Pseudomonas syringae pv. syringae)_4
Camerise - Coulure bactérienne (Pseudomonas syringae pv. syringae)_5
Bourgeon
Feuille
Fleur
Tige/Tronc
Maladies parasitaires
Bactéries
Courgette
Courgette (zucchini) - Tache angulaire
Feuille
Fruit
Tige/Tronc
Maladies parasitaires
Bactéries
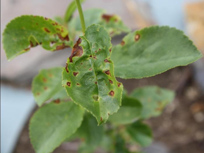
Cassis
Cassis - Tache angulaire
Cassis - Tache angulaire (Pseudomonas syringae pv. syringae)_1
Cassis - Tache angulaire (Pseudomonas syringae pv. syringae)_2
Bourgeon
Feuille
Tige/Tronc
Maladies parasitaires
Bactéries
Pagination
Première page
« First
Page précédente
‹ Previous
…
Page
5
Page
6
Page
7
Page
8
Page
9
Page
10
Page
11
Page courante
12
Page
13
Page suivante
Next ›
Dernière page
Last »
sfy39587stp18
Drupal 9 Appliance
- Powered by
TurnKey Linux